조황관리HOME / 조황관리 / 상세정보

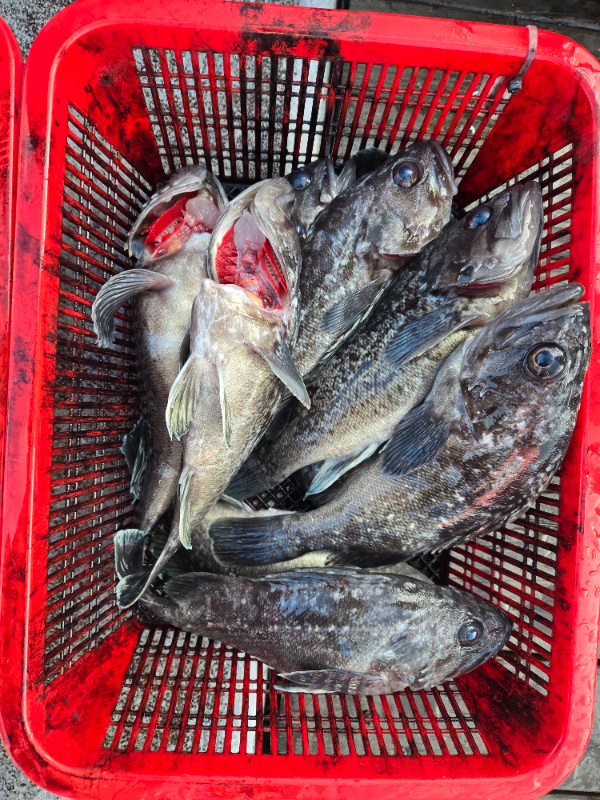
제목 : 12월 9일 안녕하세호 우럭 짬낚시 조황입니다
등록일 : 2025-12-09












정말 오랜만에 날씨가 조금 좋아서 여름 이후로 첫 우럭 잡으로 잠깐 다녀왔습니다 
춥지만 우럭이 나오니까 계속 낚시를 하게 되네요
겨울동안 날씨가 얼마나 도와줄지 모르지만 
우럭 출조 나가고 있으니 문의주세요
감사합니다





=== 헬로우피싱 안녕하세호 예약안내 ===


예약문의 : 010-6753-8114

오시는길 : 충남 태안군 안면읍 안면대로 2682

홈페이지 : http://hello.sunsang24.com/





Top